Oferty działek na sprzedaż

grunty rolne, rekreacyjne, pod zabudowę jedno i wielorodzinną, usługowo - handlowe, magazynowo - produkcyjne
Darmowe ogłoszenia działek
Baner
Większa ilość filtrówRozwiń więcej filtrów
Sprzedam działki rolno- budowlane obręb Ignatki ul Urocza  - Ignatki  -
podlaskie Zdjęcie nr 1



Co to jest identyfikator działki ewidencyjnej?



Sprzedam działki rolno- budowlane obręb Ignatki ul Urocza - Ignatki

Ignatki, gm. Ignatki, pow. bielski, podlaskie
Powierzchnia terenu: 3000 m²
750 000 zł
250,00 zł/m²
info Raport i analiza działki - poproś sprzedającego o identyfikator działki

Kontakt:
Wyślij pytanie
odwlasciciela.pl
Biuro nieruchomości
Dane działki
Powierzchnia:
3000 m²
Ulica:
Urocza
Uzbrojenie:
  • prąd
Sprawdź stawki podatku od nieruchomości (SP-1 baza danych i opracowania)
Kup raport o działce
Lokalizacja
Województwo:
podlaskie
Powiat:
bielski
Gmina:
Ignatki
Miejscowość:

Dowiedz się wiecej o miejscowości
Opis
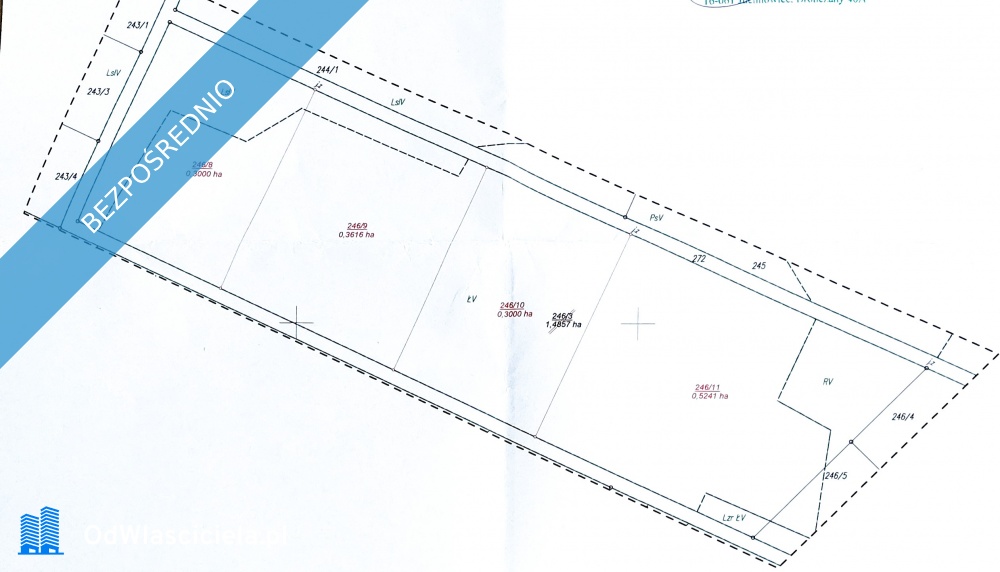
OGŁOSZENIE BEZPOŚREDNIE - BEZ PROWIZJI Marzysz o własnym domu w spokojnej, malowniczej okolicy, a jednocześnie z łatwym dostępem do miasta? Ta oferta jest właśnie dla Ciebie! SPRZEDAŻ BEZ POŚREDNIKÓW POZWOLI ZAOSZCZĘDZIĆ KILKANASCIE TYSIECY ZŁOTYCH Sprzedam działki rolno-budowlane obręb Ignatki ul Urocza o nr ewidencyjnych: 246/8 246/9 246/10 246/11 o różnych wymiarach i powierzchniach tj. od 3000 do 5240 m² co widoczne jest na załączonym zdjęciu. Działki objęte są miejscowym planem zagospodarowania przestrzennego miast Białystok. Dojazd od ul Uroczej po obu stronach działek media: prąd w drodze, ul. Urocza Cena 250 zł m² do negocjacji. Piękna malownicza okolica. Ogłoszenie dodane do wielu portali nieruchomości przez portal www.odwlasciciela.pl

Kontakt:
tel. zadzwoń
Wyślij pytanie
odwlasciciela.pl
Biuro nieruchomości


Data dodania ogłoszenia: 2026-02-21




Podobne oferty


Zobacz artykuły


Jak odbywa się nabywanie gruntów i działek pod CPK? Jak odbywa się nabywanie gruntów i działek pod CPK?
Jak przebiega proces nabywania gruntów pod budowę Centralnego Portu Komunikacyjnego? Artykuł wyjaśnia, na czym polega tzw. „specustawa CPK”, jakie są zasady Programu Dobrowolnych Nabyć, kiedy stosuje się wywłaszczenia oraz jak wygląda aktualny stan pozyskiwania terenów. To kompleksowe omówienie procedur, które stoją za jedną z największych inwestycji infrastrukturalnych w Polsce.
Sprawdź
Plany ogólne od 1 lipca 2026 roku – nadchodzące zmiany w planowaniu przestrzennym. Plany ogólne od 1 lipca 2026 roku – nadchodzące zmiany w planowaniu przestrzennym.
Czy warunki zabudowy będą trudniejsze do uzyskania i czy warto się śpieszyć uzyskaniem warunków zabudowy?
Sprawdź
Co to jest księga wieczysta i jak ją sprawdzać? Co to jest księga wieczysta i jak ją sprawdzać?
Przed zakupem działki należy sprawdzić szereg czynników mogących wpływać na atrakcyjność transakcji. W poprzednich artykułach opisywaliśmy co należy sprawdzić w kontekście zakupu działki. Jednym ze źródeł informacji o nieruchomości gruntowej, które należy obligatoryjnie sprawdzić jest księga wieczysta. Ale co to właściwie jest księga wieczysta i jak ją weryfikować? O tym w dalszej części artykułu.
Sprawdź
C-Profes - wyceny


Czym jest identyfikator działki i jak go ustalić? Czym jest identyfikator działki i jak go ustalić?
Co to jest identyfikator działki? To kluczowy element w oznaczaniu nieruchomości – działek ewidencyjnych. W tym artykule omówimy, czym jest identyfikator działki, z czego się składa oraz jak go można ustalić za pomocą interaktywnej geo mapy dostępnej na naszej stronie.
Sprawdź
Czy warto inwestować w ziemię? Czy warto inwestować w ziemię?
Zakup działki bez względu na jej typ to wciąż popularna inwestycja. Grunty budowlane, które osiągają wysokie ceny, są rozchwytywanym typem nieruchomości szczególnie w dużych miastach. Obecnie większość Polaków uważa zakup gruntu za bezpieczną i rentowną inwestycję oraz skuteczne zabezpieczenie kapitału. Czy aktualna niepewna sytuacja geopolityczna wpływa na opłacalność zakupu ziemi w Polsce? Czy i dlaczego wciąż warto interesować się tym segmentem rynku?
Sprawdź
Jak skutecznie znaleźć i zamieszczać darmowe ogłoszenia sprzedaży działek Jak skutecznie znaleźć i zamieszczać darmowe ogłoszenia sprzedaży działek
Zakup działki to proces, który ma na celu przyniesienie korzyści – zarówno finansowych jak i często osobistych. Niezależnie więc od motywów - czy klient szuka działki pod budowę domu dla siebie lub na sprzedaż, czy może lokalizacji na domek letniskowy, albo gruntu pod inwestycję, odpowiednie ogłoszenia mogą pomóc znaleźć idealną nieruchomość.
Sprawdź

Browwar pion



CDWEB