Oferty działek na sprzedaż

grunty rolne, rekreacyjne, pod zabudowę jedno i wielorodzinną, usługowo - handlowe, magazynowo - produkcyjne
Darmowe ogłoszenia działek
Baner
Większa ilość filtrówRozwiń więcej filtrów
Syndyk sprzeda udział 18 w działce rolnej między zabudowaniami - Krzysztoforzyce  -
małopolskie Zdjęcie nr 1
Syndyk sprzeda udział 18 w działce rolnej między zabudowaniami - Krzysztoforzyce  -
małopolskie Zdjęcie nr 2
Syndyk sprzeda udział 18 w działce rolnej między zabudowaniami - Krzysztoforzyce  -
małopolskie Zdjęcie nr 3
Syndyk sprzeda udział 18 w działce rolnej między zabudowaniami - Krzysztoforzyce  -
małopolskie Zdjęcie nr 4
Syndyk sprzeda udział 18 w działce rolnej między zabudowaniami - Krzysztoforzyce  -
małopolskie Zdjęcie nr 5



Co to jest identyfikator działki ewidencyjnej?



Syndyk sprzeda udział 18 w działce rolnej między zabudowaniami - Krzysztoforzyce

Krzysztoforzyce, gm. Kocmyrzów-Luborzyca, pow. krakowski, małopolskie
Powierzchnia terenu: 2900 m²
30 982 zł
10,68 zł/m²
info Raport i analiza działki - poproś sprzedającego o identyfikator działki

Kontakt:
Wyślij pytanie
Administer Polska Spółka Z Ograniczoną Odpowiedzialnością
Biuro nieruchomości
Dane działki
Powierzchnia:
2900 m²
Rodzaj prawa:
brak informacji
Typ działki - przeznaczenie:
  • rolna
Sprawdź stawki podatku od nieruchomości (SP-1 baza danych i opracowania)
C-Profes - wyceny 2
Lokalizacja
Województwo:
małopolskie
Powiat:
krakowski
Gmina:
Kocmyrzów-Luborzyca
Miejscowość:

Dowiedz się wiecej o miejscowości
Opis
OGŁOSZENIE SYNDYKA MASY UPADŁOŚCI JANA MAGDZIARZA, BĘDĄCEGO OSOBĄ FIZYCZNĄ NIEPROWADZĄCĄ DZIAŁALNOŚCI GOSPODARCZEJ
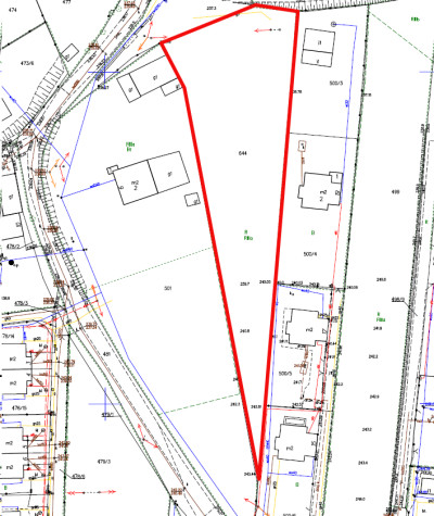
Syndyk masy upadłości dłużnika w osobie Jana Magdziarza, będącego osobą fizyczną nieprowadzącą działalności gospodarczej, w postępowaniu upadłościowym prowadzonym przez Sąd Rejonowy w Gliwicach, Wydział XII Gospodarczy, o sygnaturze akt GL1G/GUp-s/795/2023, zawiadamia o przetargu pisemnym, którego przedmiotem jest 1/8 udziału w prawie własności stanowiącej nieruchomość gruntową położoną w miejscowości Krzysztoforzyce, gmina Kocmyrzów-Luborzyca, powiat krakowski, woj. małopolskie, oznaczoną geodezyjnie jako działka nr 644, obręb 0009 Krzysztoforzyce, o pow. 0,2900 ha, dla której Sąd Rejonowy dla Krakowa-Podgórza w Krakowie,
Wydział IV Ksiąg Wieczystych prowadzi księgę wieczystą o nr KR1P/00271494/4.
Charakterystyka oferty:
1. Przedmiotem przetargu jest 1/8 udziału w prawie własności stanowiącej nieruchomość
gruntową położoną w miejscowości Krzysztoforzyce, gmina Kocmyrzów-Luborzyca, powiat
krakowski, woj. małopolskie, oznaczoną geodezyjnie jako działka nr 644, obręb 0009
Krzysztoforzyce, o pow. 0,2900 ha, dla której Sąd Rejonowy dla Krakowa-Podgórza w Krakowie, Wydział IV Ksiąg Wieczytych prowadzi księgę wieczystą o nr. KR1P/00271494/4.
2. Cena wywoławcza 1/8 udziału w nieruchomości to kwota wynikająca z operatu szacunkowego sporządzonego przez rzeczoznawcę majątkowego w osobie Sabiny Ziółkowskiej z dnia 19 sierpnia 2024 r., wynosząca 30 982,00 PLN, co stanowi 70% oszacowanej wartości biorąc za podstawę wartość dla wymuszonego charakteru sprzedaży wynikającego z operatu szacunkowego.
3. Warunkiem uczestnictwa w przetargu jest:
a) złożenie dokumentów w zamkniętej kopercie z wyraźnym dopiskiem
„NIE OTWIERAĆ – MAGDZIARZ – PRZETARG – KW KR1P/00271494/4” osobiście
w Biurze Syndyka Daniela Michalaka w Chorzowie (41-506), ul. Działkowa 8, w godzinach
od 8:00 do 19:00 [z zastrzeżeniem, że w dniu przetargu do godz. 12:00] lub pocztą
(decyduje data i godzina wpływu do Biura Syndyka), w terminie do dnia 05.05.2026 r.
do godziny 12:00.
b) uprzednia wpłata wadium w kwocie 3 000,00 PLN na rachunek bankowy masy upadłości:
Jana Magdziarza, o numerze: 32 8436 0003 0000 0030 1790 0001 [Mikołowski Bank
Spółdzielczy S.A.]. Wpłata na rachunek bankowy masy upadłości musi nastąpić najpóźniej w dniu poprzedzającym dzień otwarcia ofert. Wszystkie opłaty bankowe związane
z przelewem wadium ponosi oferent.
4. Rozpoznanie ofert nastąpi w Biurze Syndyka Daniela Michalaka w Chorzowie [41-506],
ul. Działkowa 8, w dniu 05.05.2026 r. o godz. 12:15. Każdy z oferentów jest uprawniony do wzięcia udziału w posiedzeniu, na którym rozpoznane zostaną oferty.
5. W przypadku, jeżeli najwyższe oferty zawierać będą tę samą cenę lub ceny najwyższe różnić się będą o kwotę do 10% wartości najwyższej oferty, Syndyk zakwalifikuje te oferty do
dodatkowej licytacji ustnej, która odbędzie się w tym samym miejscu (ul. Działkowa 8, 41-506 Chorzów), w dniu rozstrzygnięcia przetargu (05.05.2026 r.). W przypadku licytacji kwota
postąpienia wynosić będzie 1 000,00 PLN.
6. Zawarcie umowy sprzedaży nastąpi w terminie wyznaczonym przez Syndyka, nie dłuższym niż trzy miesiące od dnia rozstrzygnięcia przetargu. Termin ten może ulec wydłużeniu w przypadku zaistnienia przyczyn niezależnych od syndyka masy upadłości.
7. Wszelkie informacje na temat nieruchomości objętej niniejszym przetargiem, jak również
informacje dotyczące trybu składania ofert, można uzyskać pod nr. tel. + 48 32 555 02 37 w dni robocze od poniedziałku do piątku w godzinach od 8:00 do 19:00, jak również drogą
elektroniczną pod adresem syndyk(małpa)dailyservices.pl.
Daniel Michalak – syndyk masy upadłości
/kwalifikowany doradca restrukturyzacyjny – licencja nr 1826/

Kontakt:
tel. zadzwoń
Wyślij pytanie
Administer Polska Spółka Z Ograniczoną Odpowiedzialnością
Biuro nieruchomości


Data dodania ogłoszenia: 2026-04-15




Podobne oferty


Zobacz artykuły


Czy demografia zmieni rynek nieruchomości w Polsce. Czy czekają nas gminy z mieszkaniami, domami i działkami za złotówkę? Czy demografia zmieni rynek nieruchomości w Polsce. Czy czekają nas gminy z mieszkaniami, domami i działkami za złotówkę?
Znajdziesz tu analizę paradoksu polskiego rynku nieruchomości — dlaczego mimo spadku liczby ludności i starzenia się społeczeństwa ceny mieszkań wciąż rosną. Artykuł pokazuje, że rynek nie zmierza ani do krachu, ani do niekończącej się hossy, lecz do głębokiej polaryzacji. Dowiesz się, jak demografia, lokalizacja i standard nieruchomości będą decydować o przyszłej wartości mieszkań i które regiony Polski zyskają, a które mogą stracić.
Sprawdź
Projekty domów o niskich kosztach realizacji. Jak dobrać plan na dom, który powstanie ekspresowo i tanio? Projekty domów o niskich kosztach realizacji. Jak dobrać plan na dom, który powstanie ekspresowo i tanio?
Budowa idealnego domu to sztuka osiągnięcia efektywności czasowej i finansowej. Niemniej by osiągnąć to z sukcesem, wybór odpowiedniego projektu domu ma ogromne znaczenie. Jakie projekty domów uznaje się za ekonomiczne pod względem budowy i co wpływa na efektywność realizacji?
Sprawdź
Uzbrojenie działki: kluczowe elementy, jak je sprawdzić i co warto wiedzieć? Uzbrojenie działki: kluczowe elementy, jak je sprawdzić i co warto wiedzieć?
Dostępność uzbrojenia to ważny czynnik świadczący o atrakcyjności działki, determinuje często zasadność lokalizacji inwestycji w danym miejscu lub wysokość zakładanych przez inwestorów kosztów. Bez właściwego uzbrojenia terenu, realizacja planów może być utrudniona lub nawet niemożliwa. Dlatego w tym artykule postaramy się przybliżyć nieco kwestie takie jak to, czym jest właściwie uzbrojenie działki, jakie są najważniejsze elementy sieci uzbrojenia oraz jak i gdzie je sprawdzić.
Sprawdź
C-Profes - wyceny


Działka pod magazyn – Warunki zabudowy i kluczowe informacje Działka pod magazyn – Warunki zabudowy i kluczowe informacje
Inwestowanie w działki pod magazyny staje się coraz bardziej popularne w Polsce, zwłaszcza w dobie rozwoju branży logistycznej i e-commerce. W artykule tym omówimy, czym jest działka pod magazyn, jakie są warunki zabudowy dla tego typu nieruchomości oraz na co zwrócić uwagę przy zakupie działki pod magazyn. Podzielimy się także praktycznymi poradami i przedstawimy najważniejsze informacje dotyczące rynku działek pod magazyny.
Sprawdź
Księgi wieczyste Księgi wieczyste
Księga wieczysta jest jednym z najważniejszych dokumentów dotyczących nieruchomości. To ona potwierdza prawną własność danej działki, domu czy mieszkania. W niniejszym artykule postaramy się przybliżyć temat ksiąg wieczystych i omówić kilka kwestii związanych z tym dokumentem.
Sprawdź
Czy wojna na Bliskim Wschodzie zakończy hossę na nieruchomości w Dubaju i Dosze? Analiza dla inwestorów. Czy wojna na Bliskim Wschodzie zakończy hossę na nieruchomości w Dubaju i Dosze? Analiza dla inwestorów.

Koniec mitu "bezpiecznej przystani"? Przez ostatnią dekadę Dubaj i Doha były postrzegane jako synonimy nietykalności finansowej. Pustynne metropolie, w których nieruchomości rosły w górę szybciej niż w jakimkolwiek innym miejscu na świecie, przyciągały miliardy dolarów globalnego kapitału. Jednak rok 2026 przyniósł brutalną weryfikację tego status quo. Wojna na Bliskim Wschodzie, która rozlała się na państwa Zatoki Perskiej, a w szczególności bezpośrednie ataki na Dubaj oraz infrastrukturę w Dosze, postawiły inwestorów przed pytaniem: czy to czas na ucieczkę, czy na szukanie okazji w segmencie, jakim są nieruchomości gruntowe?

Sprawdź

Browwar pion



CDWEB