Oferty działek na sprzedaż

grunty rolne, rekreacyjne, pod zabudowę jedno i wielorodzinną, usługowo - handlowe, magazynowo - produkcyjne
Darmowe ogłoszenia działek
Baner
Większa ilość filtrówRozwiń więcej filtrów
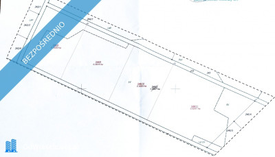
Sprzedam działkę w Szczyrku - Szczyrk  -
śląskie Zdjęcie nr 1
Sprzedam działkę w Szczyrku - Szczyrk  -
śląskie Zdjęcie nr 2



Co to jest identyfikator działki ewidencyjnej?



Sprzedam działkę w Szczyrku - Szczyrk

Szczyrk, gm. Szczyrk, pow. bielski, śląskie
Powierzchnia terenu: 1000 m²
950 000 zł
950,00 zł/m²
info Raport i analiza działki - poproś sprzedającego o identyfikator działki

Kontakt:
Wyślij pytanie
odwlasciciela.pl
Biuro nieruchomości
Dane działki
Powierzchnia:
1000 m²
Typ działki - przeznaczenie:
  • rolno-budowlana
Sprawdź stawki podatku od nieruchomości (SP-1 baza danych i opracowania)
C-Profes - wyceny 2
Lokalizacja
Województwo:
śląskie
Powiat:
bielski
Gmina:
Szczyrk
Miejscowość:

Dowiedz się wiecej o miejscowości
Opis
OGŁOSZENIE BEZPOŚREDNIE - BEZ PROWIZJI Sprzedam działkę w Szczyrku. Blisko centrum. W pobliżu nie przelotowej ulicy i apatramentów. Bez drzew. Więcej szczegółowych informacji, telefonicznie lub sms. Ogłoszenie dodane do wielu portali nieruchomości przez portal www.odwlasciciela.pl

Kontakt:
tel. zadzwoń
Wyślij pytanie
odwlasciciela.pl
Biuro nieruchomości


Data dodania ogłoszenia: 2026-04-01




Podobne oferty


Zobacz artykuły


Działki na sprzedaż w Warszawie Działki na sprzedaż w Warszawie
Warszawa, stolica Polski, to dynamicznie rozwijające się miasto, które przyciąga zarówno inwestorów, jak i osoby prywatne zainteresowane zakupem nieruchomości. Działki na sprzedaż w Warszawie cieszą się ogromnym zainteresowaniem z powodu wysokiego potencjału inwestycyjnego oraz licznych korzyści, jakie oferuje to miasto. Dlaczego warto rozważyć zakup działki w Warszawie? To pytanie zadaje sobie wielu nabywców, szukających idealnego miejsca na budowę domu, inwestycję lub rozwój biznesu.
Sprawdź
Jak i gdzie sprawdzić działkę przed kupnem Jak i gdzie sprawdzić działkę przed kupnem
Jednym z najczęstszych zadawanych pytań jest na co zwrócić uwagę przy zakupie? Kupno działki to ważna decyzja, która wymaga gruntownego przygotowania. W tym artykule omówimy, jak sprawdzić działkę i na co zwrócić uwagę podczas tego procesu.
Sprawdź
Jak wycenić działkę? Jak wycenić działkę?
Wycena działki może okazać się przydatna zarówno w procesie kupna jaki i sprzedaży gruntu. Na wstępie warto jednak zaznaczyć, że zgodnie z polskim prawem formalnej wyceny w formie operatu szacunkowego może dokonać wyłącznie rzeczoznawca majątkowy. Dla własnych potrzeb można jednak spróbować oszacować przybliżoną wartość swojej działki przy pomocy dostępnych powszechnie narzędzi i informacji.
Sprawdź
C-Profes - wyceny


Miejscowy plan zagospodarowania przestrzennego, a studium uwarunkowań i kierunków zagospodarowania przestrzennego. Miejscowy plan zagospodarowania przestrzennego, a studium uwarunkowań i kierunków zagospodarowania przestrzennego.
Przy planowaniu inwestycji na nieruchomościach gruntowych, kluczowym elementem jest dostosowanie się do wymogów miejscowego planu zagospodarowania przestrzennego (MPZP). W przypadku jego braku może być przydatna analiza studium uwarunkowań i kierunków zagospodarowania przestrzennego (SUiKZP).
Sprawdź
Działki w Polsce Wschodniej: Ryzyko przy granicy czy inwestycyjna okazja dekady - analiza rynku lokalnego Działki w Polsce Wschodniej: Ryzyko przy granicy czy inwestycyjna okazja dekady - analiza rynku lokalnego
Rynek gruntów w Polsce Wschodniej stanowi obecnie jeden z najbardziej złożonych i fascynujących paradoksów w krajowym sektorze nieruchomości. Z jednej strony, region ten jest postrzegany przez pryzmat podwyższonego ryzyka, wynikającego z bezpośredniej bliskości wojny na Ukrainie oraz incydentów na granicy z Białorusią. Z drugiej jednak, staje się on areną bezprecedensowych, wielomiliardowych inwestycji publicznych i prywatnych, które mają potencjał, by fundamentalnie odmienić jego gospodarcze oblicze. Ta dychotomia tworzy skomplikowany krajobraz inwestycyjny, często spowity mgłą medialnego szumu i emocjonalnych ocen.
Sprawdź
Odrolnienie działki – poradnik Odrolnienie działki – poradnik
Zakup działki rolnej to często pierwszy krok do realizacji marzenia o własnym domu lub inwestycji. Jednak zanim na takiej działce powstanie budynek, może być konieczne jej odrolnienie – czyli zmiana przeznaczenia gruntu z rolniczego na budowlany. W tym artykule przeprowadzimy Cię krok po kroku przez proces odrolnienia, wyjaśnimy, czym jest trwałe wyłączenie z produkcji rolnej oraz co zrobić w przypadku braku miejscowego planu zagospodarowania.
Sprawdź

Browwar pion



CDWEB