Oferty działek na sprzedaż

grunty rolne, rekreacyjne, pod zabudowę jedno i wielorodzinną, usługowo - handlowe, magazynowo - produkcyjne
Darmowe ogłoszenia działek
Baner
Większa ilość filtrówRozwiń więcej filtrów
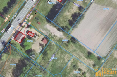
Działka budowlana - Jełowa  -
Opolskie Zdjęcie nr 1
Działka budowlana - Jełowa  -
Opolskie Zdjęcie nr 2
Działka budowlana - Jełowa  -
Opolskie Zdjęcie nr 3
Działka budowlana - Jełowa  -
Opolskie Zdjęcie nr 4



Co to jest identyfikator działki ewidencyjnej?



Działka budowlana - Jełowa

Jełowa, gm. Łubniany, pow. opolski, Opolskie
Powierzchnia terenu: 2531 m²
190 000 zł
75,07 zł/m²
info Raport i analiza działki - poproś sprzedającego o identyfikator działki

Kontakt:
Wyślij pytanie
Broker House Nieruchomości s.c J.Kowol D.Kowol
Biuro nieruchomości
Dane działki
Powierzchnia:
2531 m²
Rodzaj prawa:
własność
Typ działki - przeznaczenie:
  • pod zabudowę mieszkaniową jednorodzinną
Ogrodzenie:
nie
Rodzaj nawierzchni:
  • droga o nawierzchni asfaltowej
Sprawdź stawki podatku od nieruchomości (SP-1 baza danych i opracowania)
Kup raport o działce
Lokalizacja
Województwo:
Opolskie
Powiat:
opolski
Gmina:
Łubniany
Miejscowość:

Dowiedz się wiecej o miejscowości
Opis
DZIAŁKA BUDOWLANA JEDORODZINNA / USŁUGOWA Gmina Łubniany/Jełowa
Wyłączność oferty!
Nieruchomość gruntowa o przeznaczeniu: budownictwo jednorodzinne z możliwością na zabudowę usługową o powierzchni łącznej ok. 2531m2.
Dostępne media: energia elektryczna, woda, kanalizacja - w drodze.
Dojazd stanowi droga asfaltowa.
W okolicy zabudowa jednorodzinna i wielorodzinna, budynki wolnostojące.
Teren obfitujący w zieleń.
BROKER HOUSE NIERUCHOMOŚCI --- Kontakt: Dariusz Kowol , pod nadzorem licencji nr 11486, tel. 00 233 344, 77/ 441 27 22, dariusz.kowol@brokerhouse.pl, pozostałe oferty na www.brokerhouse.pl
Nota prawna: Informacje dotyczące opisu nieruchomości podane są przez właściciela, mają charakter wyłącznie informacyjny i mogą podlegać aktualizacji. Oferta dotycząca nieruchomości stanowi zaproszenie do rokowań zgodnie z art. 71 Kodeksu Cywilnego i nie stanowi oferty określonej w art. 66 i następnych KC.
BIURO BROKER HOUSE NIERUCHOMOŚCI, SPRZEDAŻ, WYNAJEM DOMY, MIESZKANIA, POWIERZCHNIE KOMERCYJNE OPOLE, WOJ. OPOLSKIE--- POŚREDNICTWO KREDYTOWE---ul. Sempołowskiej 1, Opole. Kontakt: 77/ 441 27 22.
UMÓW SIĘ NA BEZPŁATNE SPOTKANIE Z DORADCĄ KREDYTOWYM BROKER HOUSE NIERUCHOMOŚCI, KTÓRY BEZPŁATNIE SPRAWDZI TWOJĄ ZDOLNOŚĆ KREDYTOWĄ ORAZ PORÓWNA OFERTĘ KREDYTÓW HIPOTECZNYCH W BANKACH.
Oferta wysłana z programu IMO dla biur nieruchomości

Kontakt:
tel. zadzwoń
Wyślij pytanie
Broker House Nieruchomości s.c J.Kowol D.Kowol
Biuro nieruchomości


Data dodania ogłoszenia: 2026-04-01




Podobne oferty


Zobacz artykuły


Działki na sprzedaż pod Warszawą – Twoja szansa na własny kawałek ziemi Działki na sprzedaż pod Warszawą – Twoja szansa na własny kawałek ziemi
Marzysz o przestrzeni z dala od miejskiego zgiełku, ale nadal w zasięgu stolicy? Działki na sprzedaż pod Warszawą cieszą się coraz większym zainteresowaniem zarówno wśród osób planujących budowę domu, jak i inwestorów poszukujących pewnego lokum dla kapitału. Dzięki pomocy profesjonalnego biura nieruchomości możesz znaleźć grunt dopasowany do swoich potrzeb – bez ryzyka, stresu i żmudnych formalności.
Sprawdź
Uzbrojenie działki: kluczowe elementy, jak je sprawdzić i co warto wiedzieć? Uzbrojenie działki: kluczowe elementy, jak je sprawdzić i co warto wiedzieć?
Dostępność uzbrojenia to ważny czynnik świadczący o atrakcyjności działki, determinuje często zasadność lokalizacji inwestycji w danym miejscu lub wysokość zakładanych przez inwestorów kosztów. Bez właściwego uzbrojenia terenu, realizacja planów może być utrudniona lub nawet niemożliwa. Dlatego w tym artykule postaramy się przybliżyć nieco kwestie takie jak to, czym jest właściwie uzbrojenie działki, jakie są najważniejsze elementy sieci uzbrojenia oraz jak i gdzie je sprawdzić.
Sprawdź
Ogłoszenia o sprzedaży ziemi rolnej – najważniejsze informacje Ogłoszenia o sprzedaży ziemi rolnej – najważniejsze informacje
Ostatnie lata przyniosły szereg zmian w przepisach regulujących obrót ziemią rolną w Polsce. Ustawa o Kształtowaniu Ustroju Rolnego określa, że co do zasady (chyba, że ustawa stanowi inaczej) nabywcą nieruchomości rolnej może być wyłącznie rolnik indywidualny. Ustawa o Kształtowaniu Ustroju Rolnego określa ponadto kim jest rolnik indywidualny.
Sprawdź


Jak wycenić działkę? Jak wycenić działkę?
Wycena działki może okazać się przydatna zarówno w procesie kupna jaki i sprzedaży gruntu. Na wstępie warto jednak zaznaczyć, że zgodnie z polskim prawem formalnej wyceny w formie operatu szacunkowego może dokonać wyłącznie rzeczoznawca majątkowy. Dla własnych potrzeb można jednak spróbować oszacować przybliżoną wartość swojej działki przy pomocy dostępnych powszechnie narzędzi i informacji.
Sprawdź
Plany ogólne od 1 lipca 2026 roku – nadchodzące zmiany w planowaniu przestrzennym. Plany ogólne od 1 lipca 2026 roku – nadchodzące zmiany w planowaniu przestrzennym.
Czy warunki zabudowy będą trudniejsze do uzyskania i czy warto się śpieszyć uzyskaniem warunków zabudowy?
Sprawdź
Zakup działki nad jeziorem – co musisz wiedzieć? Zakup działki nad jeziorem – co musisz wiedzieć?
Zakup działki nad jeziorem to marzenie wielu osób szukających nie tylko wypoczynku, ale również spokojnego miejsca do życia lub po prostu bezpiecznej inwestycji. Większość z nas lubi bliskość wody, kontakt z naturą i ciszę, dlatego tego typu działki są coraz bardziej popularne. Zakup działki nad jeziorem wiąże się jednak często z dodatkowymi rzeczami, które należy wziąć pod uwagę. Są to kwestie formalne i praktyczne – od rodzaju działki, przez jej uzbrojenie, po możliwość budowy domu nad jeziorem zgodnie z obowiązującym prawem.
Sprawdź

Browwar pion



CDWEB